1DSC02319 2DSC02320 3DSC02321 4DSC02365 5DSC02366 6DSC02367 7DSC02368 8DSC02369 New images Триптомена горная - Thryptomene saxicolaЯванское яблоко - Syzygium samarangense
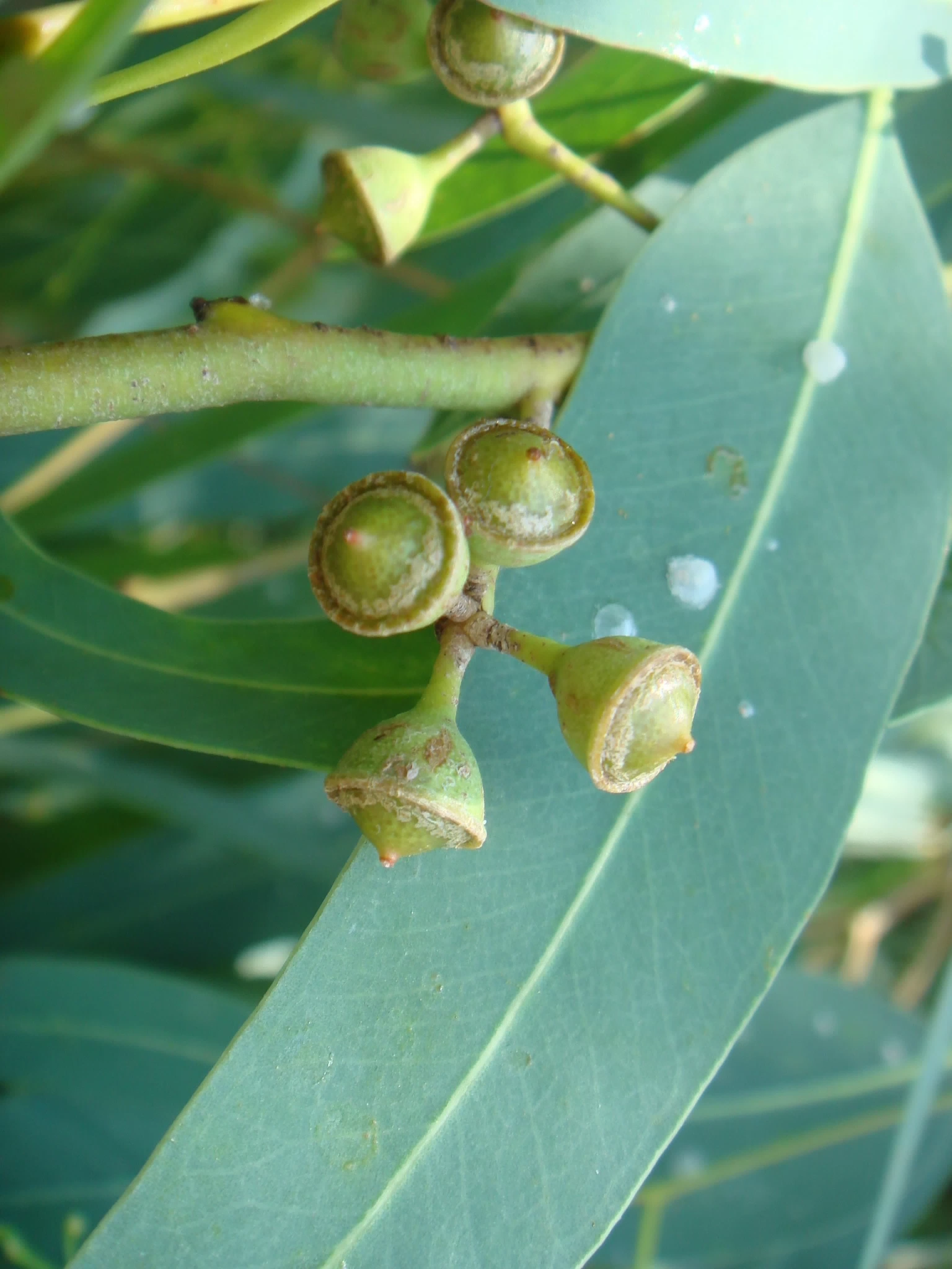
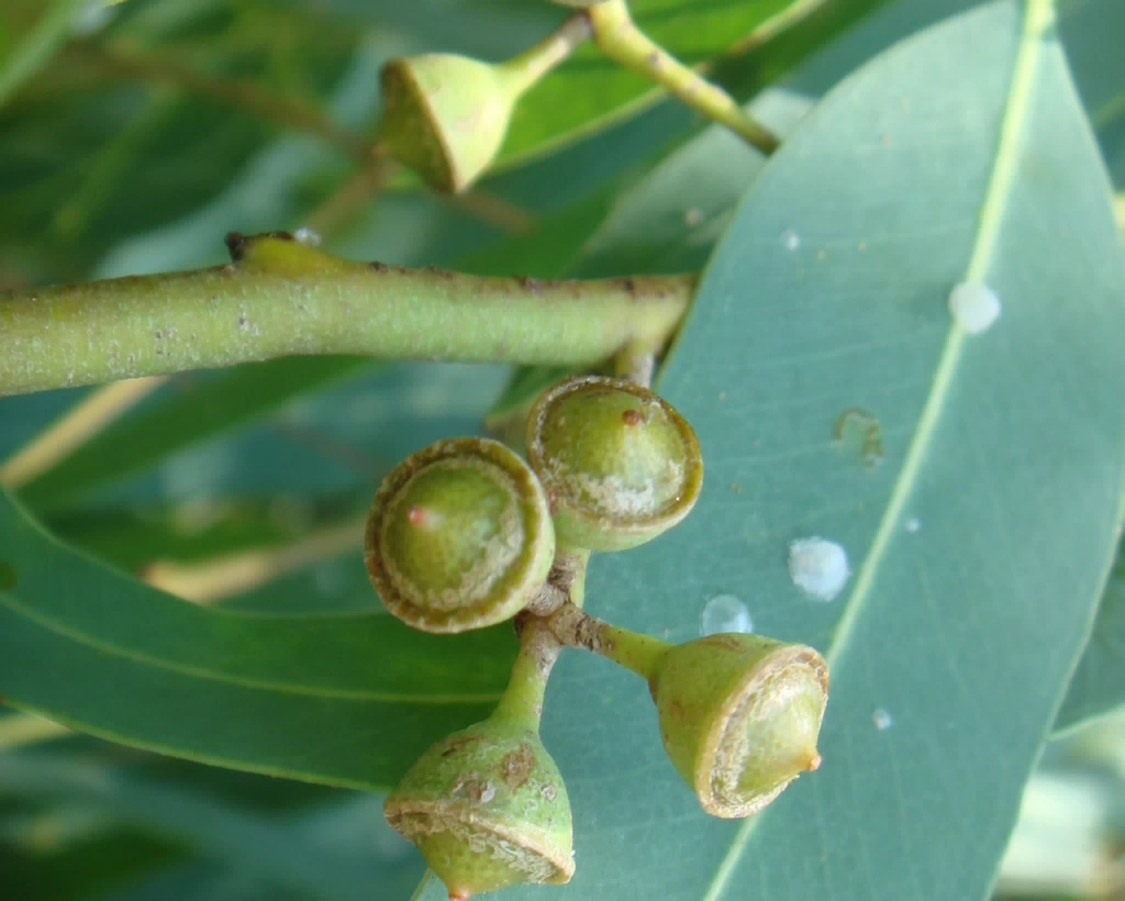
Эвкалипт - Eucalyptus